| 賃料 | 88万円 | 共益費・管理費 | |
|---|---|---|---|
| 礼金 | 1ヶ月 | 敷金 | 3ヶ月 |
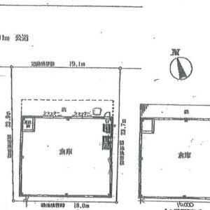
| 保証金 | 建物面積 | 448m² / 135.52坪 | |
| 坪単価 | 0.65万円 | 築年月 | 199010 |
| 所在地 | 埼玉県蕨市南町4丁目7-2 山岡倉庫 | ||
| 交通 | JR京浜東北・根岸線 蕨駅 徒歩23分 JR埼京線 戸田公園駅 徒歩23分 |
||
お電話でのお問い合わせ
0120-636-212
営業時間:9:00~19:00(土日祝休み)
この物件に関するお問い合わせの際は、
物件番号[89883]をお知らせください。
※不動産業者様からのお問い合わせはご遠慮ください。




















