| 賃料 | 133.4万円 | 共益費・管理費 | |
|---|---|---|---|
| 礼金 | 1ヶ月 | 敷金 | 3ヶ月 |
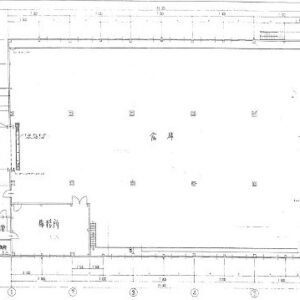
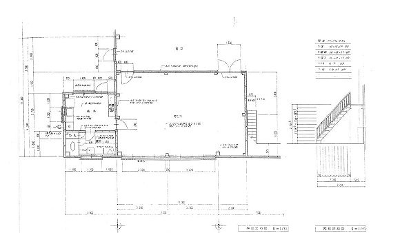
| 保証金 | 建物面積 | 891.2m² / 269.59坪 | |
| 坪単価 | 0.49万円 | 築年月 | 198812 |
| 所在地 | 神奈川県海老名市本郷2313-1 | ||
| 交通 | JR相模線 門沢橋駅 車 1.3km |
||
お電話でのお問い合わせ
0120-636-212
営業時間:9:00~19:00(土日祝休み)
この物件に関するお問い合わせの際は、
物件番号[61035]をお知らせください。
※不動産業者様からのお問い合わせはご遠慮ください。




















